애플망고 키우기 시리즈 3탄이다.
나의 애플망고 나무(?)는 아직까지 무럭무럭 자라고 있다.
그럼 애플망고 씨앗을 화분에 옮겨 심은 후부터 성장과정을 살펴보도록 하자
<0일 차>

대형 여인초 옆에 나란히 모셔둔 게 3월 초였으니 아직 키운 지 한 달 반밖에 되지 않았다.
2022.03.28 - [반려식물] - 집에서 망고 키우기 (애플망고 싹틔우기 날짜별 관찰기)
집에서 망고 키우기 (애플망고 싹틔우기 날짜별 관찰기)
아직 키워 본 지 한 달 밖에 안 돼서 단언하기에는 이르지만, 집에서 망고 키우기는 아주 쉽다. 이왕 키울 거면 비싼 애플망고가 좋을 것 같아서^^ 그냥 망고보다는 애플망고를 택했다. 애플망고
shyness-crown.tistory.com
2022.02.17 - [반려식물] - 애플망고 자르는 법 및 씨앗 꺼내기(발아)
애플망고 자르는 법 및 씨앗 꺼내기(발아)
아보카도를 키우다 보니, 집에서 키울 수 있는 열대 과일에 대한 호기심이 커졌다. 열매 맺는 것까지 성공한다면, 이왕 비싼 과일나무가 좋을 것 같아서 ㅎㅎㅎ 이번엔 애플망고를 고르게 됐다.
shyness-crown.tistory.com
<4일 차>

심은지 4일 만에 줄기가 고개를 들기 시작했다.
줄기의 힘이 엄청 강해 보였다.
이때까지는 물 주는 게 굉장히 조심스러웠다.
뿌리가 많지 않은 상태라 자칫 과습이 올 우려가 있기 때문이었다.
그래서 물은 정말 조금씩 부어주고, 대신 분무를 자주 해줬다.
<10일 차>

줄기가 완전히 수직으로 서면서 사마귀처럼 커가기 시작했다.
디시디아처럼 생장하는 부분은 짙은 색을 띠게 된다.
2021.11.07 - [반려식물] - 디시디아 키우기 (잘 관리하는 방법)
디시디아 키우기 (잘 관리하는 방법)
오늘은 공중식물 중 하나인 디시디아 키우기에 대해 포스팅하려고 한다. 디시디아는 다육식물로 목부작, 코코칩, 수태 등에서도 잘 자란다. 처음에 양재 화훼단지에서 데려왔을 때도 나무(?) 같
shyness-crown.tistory.com
<14일 차>

약간은 굽어 있던 줄기가 완전히 꼿꼿해졌다.
잎의 개수는 더 많아졌고 먼저 났던 아래쪽 잎들은 더 이상 생장하지 못하고 떨어졌다.
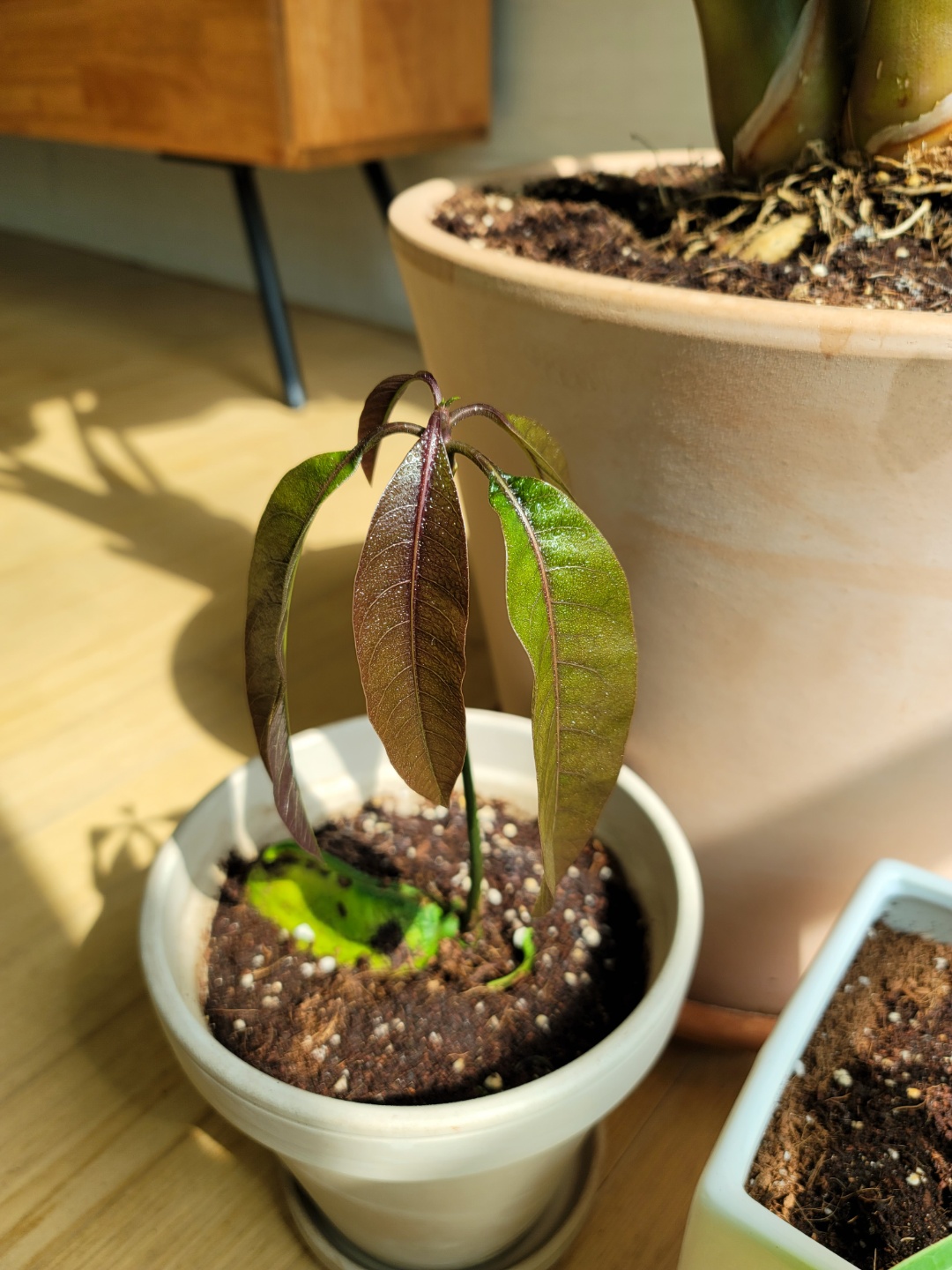
<20일 차>

위에 남아있던 잎들은 자주색으로 변하면서 잎의 크기가 커가기 시작했다.
<26일 차>


잎이 커가면서 점점 아래로 처졌다.
생장하는 잎은 얇고 힘이 없어서, 처음에는 죽어가는 건가? 싶었다.
<33일 차>



신기한 점을 발견했다.
애플망고 잎은 생장이 끝나면 초록색으로 바뀌고,
잎이 두꺼워지면서 힘이 생긴다.
그래서 처졌던 잎들이 조금은 펼쳐진다.
<47일 차>


아래 잎들의 생장이 끝나자 또 새 잎이 나기 시작했다.

폰카로도 잎맥(leaf vein)이 잘 보이길래 찍어봤다.
* 잎맥은 가운데 굵은 세로선인 주맥과 주맥에서 나오는 측맥, 측맥에서 나오는 세맥으로 이뤄져 있다.
애플망고 나무는 여러 잎맥 중 우상맥에 속한다.
* 우상맥(pinnate) : 잎몸의 중앙에 난 주맥을 중심으로 좌우로 가는 측맥이 새의 깃털 모양으로 뻗어 있는 형태
<56일 차>


잎이 꽤 많아졌다.

자라고 있는 잎은 잎맥이 뚜렷하지도 않고 짙은 색을 띤다.

그리고 굉장히 얇고 힘이 없어서 위 사진처럼 잘 구부러진다.

반면, 다 큰 잎은 빳빳해서 잘 구부러지지 않는다.


줄기는 대충 이렇게 생겼다.
2024.04.21 - [반려식물] - 딸기 모종 키우기 및 종류 (꽃에서 열매까지)
딸기 모종 키우기 및 종류 (꽃에서 열매까지)
사실 아직 딸기를 직접 키워본 것은 아니고, 얼마 전 딸기 따기 체험을 하고 왔고 이에 대한 포스팅을 하게 되었다. 나름 식물 블로거라 자칭하는 나지만, 딸기가 꽃에서 열매가 돼 가는 과정을
shyness-crown.tistory.com
『애플망고 키우기』
ㅇ가격 : 10,000원 내외 (유묘)
ㅇ물 주기: 1주에 3~4번
ㅇ햇빛 : 반양지 (직사광선에는 잎이 탈 수 있음)
ㅇ생육온도 : 15~30℃ (적어도 7℃ 이상 유지)
ㅇ번식 : 파종
※ 굉장히 물을 좋아한다. 다른 식물들과 달리 수분이 부족해서 잎이 마르면 회복되지 않으니 제때 물을 줘야 한다.
※ 아열대 식물로 영상 5도에서도 냉해를 입을 수 있다고 한다.
※ 연두색의 새순은 갈색으로 변하면서 생장하고 다시 녹색으로 변하면서 경화된다.
※ 잎이 생장하는 과정에서 잎이 처지는데 시든 것이 아니라 생장 과정이다.
※ 애플망고는 자가수분이 가능하기 때문에 1그루만 있어도 된다고 한다. (대신 인공수분은 해야 함)
'반려식물' 카테고리의 다른 글
| 드라세나 마지나타 키우기 (카페 화분으로 추천) (2) | 2022.05.15 |
|---|---|
| 아레카야자 키우기 및 물주기 총 정리 (5) | 2022.05.01 |
| 보스턴고사리 번식 (포기 나누기 및 러너) (0) | 2022.04.13 |
| 집에서 망고 키우기 (애플망고 싹틔우기 날짜별 관찰기) (6) | 2022.03.28 |
| 몬스테라 키우기 및 물주기 (알보말고 델리시오사) (2) | 2022.03.22 |
댓글